Properties

Browse or get in touch to schedule a walkthrough.

  • Nearby me
Price range

Popular features

Community features

Property features

Waterfront

View

Exterior Features

Interior Features

Style

10000 properties match your criteria

Updated 1 minute ago

E-Alert name

10 private acres, above the Currant Creek. Property is about 1/3 of the way up Currant Creek Mountain. The fire a few years ago stopped at the property line, the property is not burnt. Tall pinion-pines and junipers. Great view of the river valley below. There is a power pole on the southeast corner of the property, and good water wells can be drilled in the area.
#2097357

Fruitland

None

None Beds

None Baths

10.0 acres

$42,000

MLS#: 2097357

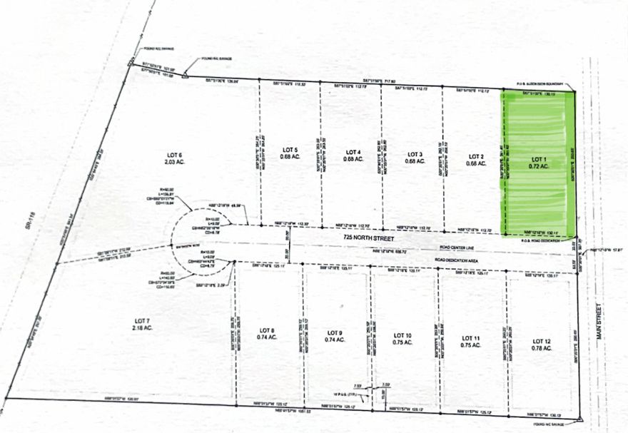
Take a look at Sevier County's newest subdivision, Cove Peak Estates.  Located at the North end of Central Valley, just off Central Valley main street and borders east side of HWY 118. These lots will mirror the love that Central Valley has for country life and will follow the local rules for life style and animal rights. This subdivision will have all utilities stubbed to each lot. Cove Peak Estates is breaking ground on March 1st for roadway and utilities to be done and asphalt in by end of march, weather permitting. Property taxes have not yet been established. Buyers and agents to verify all listing information.
#2057542

Central Valley

1

None Beds

None Baths

0.72 acres

$124,900

MLS#: 2057542

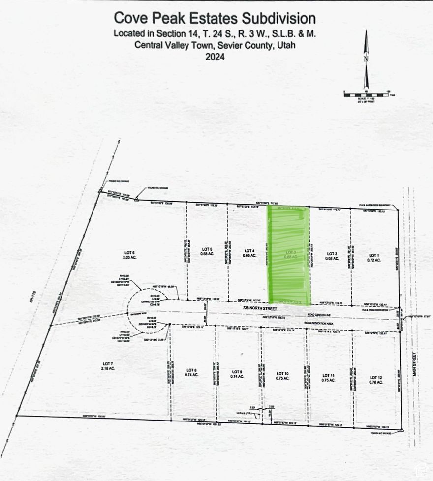
Take a look at Sevier County's newest subdivision, Cove Peak Estates.  Located at the North end of Central Valley, just off Central Valley main street and borders east side of HWY 118. These lots will mirror the love that Central Valley has for country life and will follow the local rules for life style and animal rights. This subdivision will have all utilities stubbed to each lot. Cove Peak Estates is breaking ground on March 1st for roadway and utilities to be done and asphalt in by end of march, weather permitting. Property taxes have not yet been established. Buyers and agents to verify all listing information.
#2057551

Central Valley

5

None Beds

None Baths

0.68 acres

$124,900

MLS#: 2057551

Check out this updated home in a great neighborhood. Private backyard offers a large covered patio and a separate entrance to the basement. Attached garage is heated with lots of storage. Walking distance to all the schools, and close to clinics and shopping. Buyers and agents to verify all listing information.
#2086066

Salina

229 N 300 W

4 Beds

2 Baths

2,472 Sq.Ft.

$368,900

MLS#: 2086066

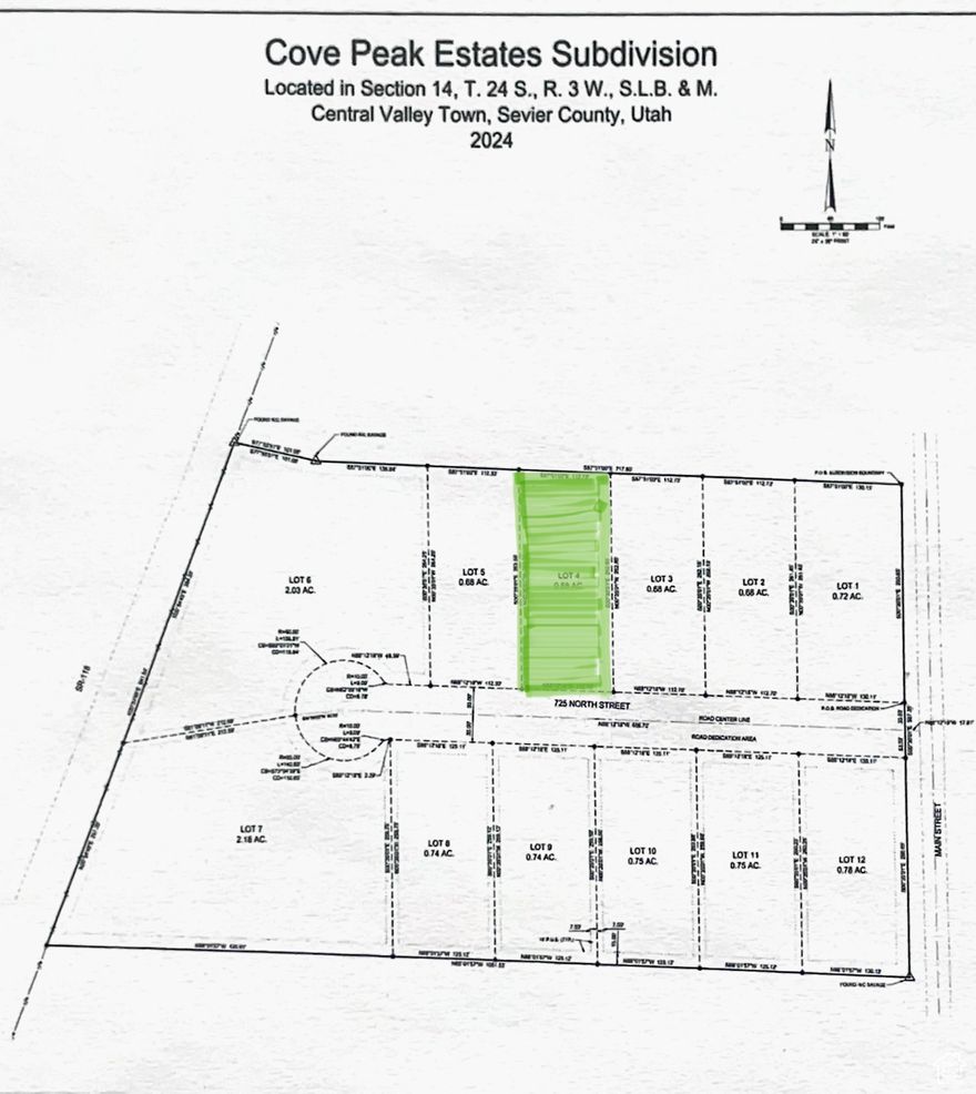
Take a look at Sevier County's newest subdivision, Cove Peak Estates.  Located at the North end of Central Valley, just off Central Valley main street and borders east side of HWY 118. These lots will mirror the love that Central Valley has for country life and will follow the local rules for life style and animal rights. This subdivision will have all utilities stubbed to each lot. Cove Peak Estates is breaking ground on March 1st for roadway and utilities to be done and asphalt in by end of march, weather permitting. Property taxes have not yet been established. Buyers and agents to verify all listing information.
#2057549

Central Valley

4

None Beds

None Baths

0.68 acres

$124,900

MLS#: 2057549

Take a look at Sevier County's newest subdivision, Cove Peak Estates.  Located at the North end of Central Valley, just off Central Valley main street and borders east side of HWY 118. These lots will mirror the love that Central Valley has for country life and will follow the local rules for life style and animal rights. This subdivision will have all utilities stubbed to each lot. Cove Peak Estates is breaking ground on March 1st for roadway and utilities to be done and asphalt in by end of march, weather permitting. Property taxes have not yet been established. Buyers and agents to verify all listing information.
#2057547

Central Valley

3

None Beds

None Baths

0.68 acres

$124,900

MLS#: 2057547

Enjoy NO HOA! Lowest priced home in the market with $5,000 in Closing Cost with preferred lender! Welcome to your new Evergreen floor plan in Eagle Mountain. This home was designed for both style and function, giving you space to live, gather, and grow.  From the moment you walk in, wide-plank luxury vinyl flooring guides you into an entertainer's kitchen that truly shines, pearl white cabinetry, sleek quartz counters, and an oversized 8-foot island that's perfect for pancake breakfasts or hosting your favorite people. Bedrooms are finished with upgraded carpet for cozy comfort, while the vaulted primary suite upstairs is your personal retreat, complete with a walk-in shower and spa-inspired finishes. Three additional bedrooms offer endless flexibility, guest space, family rooms, playrooms, or the perfect home office. Built with 40-year shingles and energy-efficient construction, this home blends lasting quality with everyday convenience. All of this, just minutes from shopping, parks, schools, and commuter routes. Don't miss your chance, schedule your private showing today and see why this home is the perfect fit.
#2112265

Eagle Mountain

1564 E PHEASANT RD 212

4 Beds

2 Baths

2,620 Sq.Ft.

$459,900

MLS#: 2112265

Private hunting grounds. This 352 acre parcel is extremely private and secluded, behind locked gates. You'll find bear, lions, deer and elk all on this property. Seasonal 4x4 access, no utilities. Approx 30 minutes SW of Duchesne, at the top of lake canyon. Near Buck Knoll, elevation approx. 8000'.
#2102264

Fruitland

None

None Beds

None Baths

353.07 acres

$458,991

MLS#: 2102264

Ask about our 4.99 % Rate Buy Down with preferred lender - Modern Design Meets Smart Living  The Campbell Modern Plan at Evans Park Welcome to the Campbell Modern plan by Hamlet Homes-where bold architectural design meets unmatched flexibility. This spacious home offers open-concept living, sleek modern finishes, and an interior Accessory Dwelling Unit (ADU) with a private entrance-perfect for multigenerational living, rental income, or a home office suite. Located in the vibrant new Evans Park community in West Valley City, you'll enjoy nearby transit, and easy access to downtown Salt Lake.
#2101207

West Valley City

5493 W EVANS CT 6

5 Beds

3 Baths

4,811 Sq.Ft.

$979,990

MLS#: 2101207

Price reduced
Sienna Hills - 307 - Residence 2 - Rates as low as 3.99% 7/6 ARM(5.773% APR) when financing through Lennar Mortgage! Estimated completion in January. This home includes 3 bedrooms, 2.5 bathrooms, 2-car garage, and full unfinished basement. This townhome's kitchen offers craftsman-style white cabinets, and linen cream quartz countertops. Upstairs is the laundry room, loft, owner's suite, and owners suite bathroom, two more bedrooms, and one full bathroom. Square footage figures are provided as a courtesy estimate only and were obtained from builder. Buyer is advised to obtain an independent measurement. Rendering is for illustrative purposes only. Actual features and elevations may vary. Interior photos are of same style of home but not actual home.
#2123892

West Jordan

7567 S OPAL MOUNTAIN WAY W 307

3 Beds

2 Baths

2,689 Sq.Ft.

$459,900

MLS#: 2123892

105 acres for $88,000, just $838 per acre. This is 2 separate lots, so you could have 2 cabins or homes on this parcel. Located 15 minutes south of Duchesne in Silver Moon Ranches. Property has good access, but there is no water or power available. Owner will sell the parcels separately.
#2103682

Duchesne

None

None Beds

None Baths

105.59 acres

$88,000

MLS#: 2103682

Beautifully updated throughout, this turnkey 5-bedroom, 2-bathroom home is located in a sought-after Murray neighborhood. Enjoy a fresh, renovated interior that's been thoughtfully upgraded with modern finishes and a clean, inviting design. The fully finished mother-in-law basement offers incredible flexibility, perfect for extended family, guests, or rental income. Conveniently located near shopping, dining, and parks. Schedule your private showing today!
#2095504

Murray

6110 S 725 E

5 Beds

2 Baths

2,627 Sq.Ft.

$619,900

MLS#: 2095504

10 acres above Sams Wash, south of hwy 40. Pinion-pine and juniper cover. Great view, as it sits on the rim of a canyon. This is a secluded camp or recreational property. The road is not maintained, but can be accessed with a SUV or truck.
#2098645

Fruitland

None

None Beds

None Baths

10.0 acres

$32,000

MLS#: 2098645

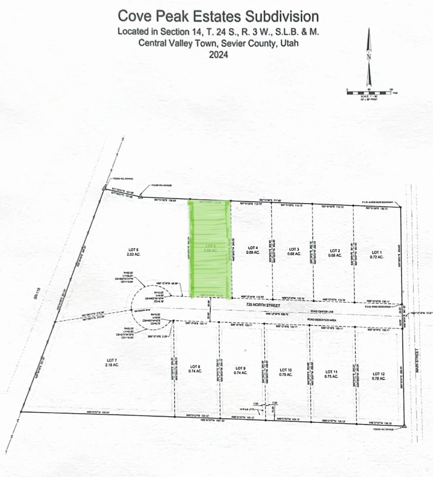
Take a look at Sevier County's newest subdivision, Cove Peak Estates.  Located at the North end of Central Valley, just off Central Valley main street and borders east side of HWY 118. These lots will mirror the love that Central Valley has for country life and will follow the local rules for life style and animal rights. This subdivision will have all utilities stubbed to each lot. Cove Peak Estates is breaking ground on March 1st for roadway and utilities to be done and asphalt in by end of march, weather permitting. Property taxes have not yet been established. Buyers and agents to verify all listing information.
#2057552

Central Valley

6

None Beds

None Baths

2.03 acres

$199,000

MLS#: 2057552

Over 5 acres, just a few miles from Starvation Reservoir, and the small town of Duchesne. This is mainly a recreational area, with some cabins and full time residents. Property has a great view, with pinion-pine and juniper tree cover. The main attraction is Starvation reservoir, but there are also many streams, forest land, ATV trails and other reservoirs in the immediate area. 1  Hrs from the Wasatch front.
#2083409

Duchesne

None

None Beds

None Baths

5.24 acres

$40,000

MLS#: 2083409

1 ... 626 627 628 629 630 ... 666
* Listings identified with the FMLS IDX logo come from FMLS and are held by brokerage firms other than the owner of this website. The listing brokerage is identified in any listing details. Information is deemed reliable but is not guaranteed. If you believe any FMLS listing contains material that infringes your copyrighted work please click here to review our DMCA policy and learn how to submit a takedown request. © 2024. First Multiple Listing Service, Inc.
 - property

Send a message

Message successfully sent.

Your message

What is 3 + 4 ?

Reason for contacting?

Sign Out

Virtual Assistant

Would you like to take the next step with this property? We can help you schedule a showing or virtual tour, or send you more details.

Yes, I would like more information.

Thank You for Your Reply, One of Our Agents will contact you as soon as possible

No, maybe later.

Thank you, you can always contact me via email, phone number or through the contact form.

Realhub AI

Lucy - Your AI-Powered Realtor

Update Your Temporary Password

Personalize your search

Enter your email and we'll notify you immediately when new listings match what you're looking for.

or enter email address

Already have an account ? Login here

Continue your home search

Already have an account ? Login here